Orchard Cottage, New Road

Building Status: Listed Building

Orchard Cottage from its deeds and other papers

Notes by Norman Kenyon

31st July, 1855: as part of the settlement upon the marriage between William Henry Colbeck Luke (subsequently Rector of Elmswell) and Julia Rawson, a £2000 trust fund was set up, the trustees including Julia’s father Samuel and a certain John Wm. Holdsworth.

3rd June 1856: Samuel Rawson and William Holdsworth (neither of Elmswell) seem to have purchased the property from the Jackson and Langham families, using part of the trust fund; we can’t tell whether there was a house then (but see 1867).

There were various changes of trustee between 1856 and 1879.

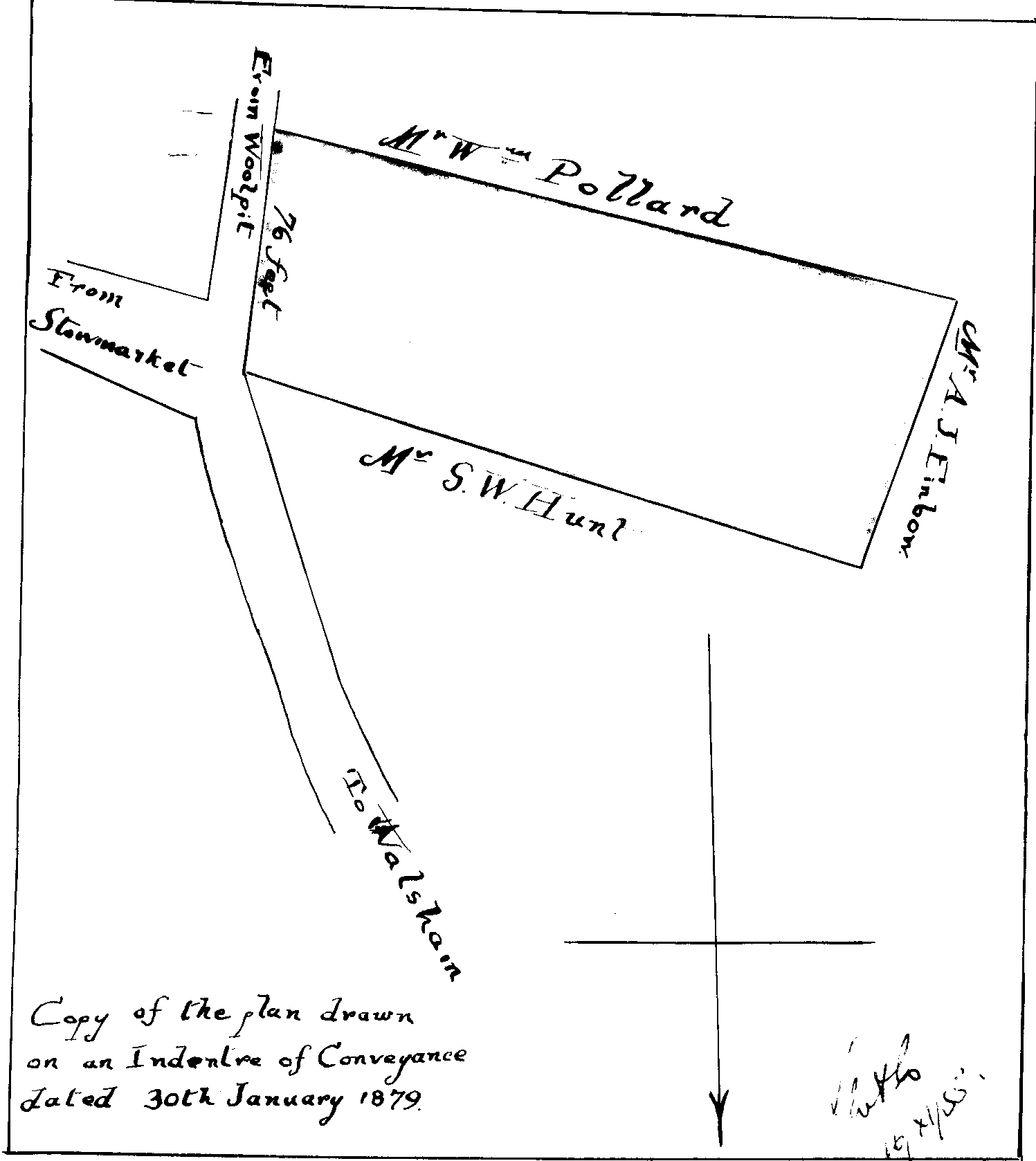
7th May 1867: a Schedule attached to an indenture (dealing with Trust matters) describes the property as follows: “A messuage (divided into two) situate at Elmswell in the County of Suffolk together with the Barn Stable outhouse yard gardens orchard stack yard ground & appurts to the same belonging also Close of Orchard meadow land adjoing said messuages and hereditaments & containing by estimation 2.0.33 or thereabouts & a piece of enclosed arable landlying in front of & adjoining the said messe & heredits 1n thereinbefore mentioned & called the “new Break” & containing by estimation 3.30 or thereabouts”.

30th January 1879: Samuel Rawson and the Rev. Wm. Thos. Image sold the property to Benjamin Baker Mulley, a bricklayer of Elmswell, for £75. A plan was drawn in the margin of the original indenture.

6th October 1879: Ben Mulley borrowed £150 from Maria Rowe of Stowmarket, at 5% p.a., a mortgage on the property.

2nd November 1881: Maria had moved to Elmswell, Ben still owed the £150; an Elmswell widow, Mary Muncey, bought the property from Maria and Ben for £270, paying £150 back to Maria’s estate and the remaining £120 to Ben. {This conveyance is still among the papers, so what actually happened can be checked!} May we assume that the big jump in value over just two years was due to a new house having been built on the land?

3rd November 1881: Mary promptly borrowed £250 from Henry Hunt of Walsham-le-Willows, at an undisclosed interest rate.

24th October 1896: if I read this aright, Mary paid off the loan.

4th November 1896: Mary seems to have passed the property to Esther Jane Muncey, possibly for the £250 mentioned.

5th November 1896: Esther seems to have borrowed £250 at 4½% p.a. for six months from Edwin Wilkes of Stowmarket.

9th November 1896 she “intermarried with” David Thomas Miles, at St John’s Church.

28th September 1899: Esther J Miles sold the property, known now as “Elmfield”, to Mr Frederick Warren.

28th September 1907: Frederick Warren died intestate, leaving his widow Isabella and his eldest son Frederick Nathan Warren. There seems to have been £300 owing to a W Richer at this time.

A conveyance of 1st January 1908 passes the son’s share over to his mother. A Cecil Miller occupied the house (now called “Elm House”); Fred and his mother lived in Willow House, which he also ceded to his mother.

26th May 1931: Isabella died, leaving the property to Eleanor Louisa Maude Warren, spinster {possibly her daughter?} and the £300 owing to Richer’s heirs was paid off.

1st January 1934: Eleanor sold the property to Rosa Bella Kate Burt of Norton.

16th January 1935: Rosa sold the property back to Eleanor Warren, then living in Bury.

17th November 1955: Eleanor Warren (then living near Guildford) sold the property (still “Elm House”) to Major George S M Hutchinson. The Major had retired from the Indian Army.

27th April 1961: Major Hutchinson sold the property, now finally called “Orchard Cottage”, to Mrs Nicoletta Mary Gregory.

23rd September 1963: Mrs Gregory sold the property to Flight-Lieutenant Douglas Thomas Delaney and family, then living at RAF Wattisham.

All the conveyances are present in the package of papers, four abstracts of title, most or all of the mortgages, a lot of searches and other papers, and one house plan (1955) to do with improvements (not extensions).



Orchard Cottage, New Road

Orchard Plan